Geometridae Ennominae
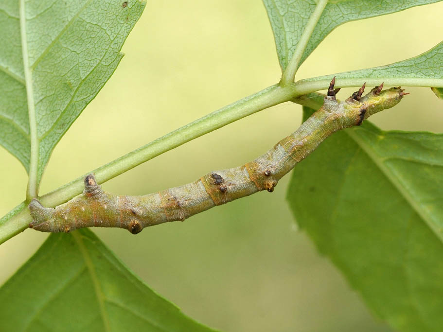
Ennomos fuscantaria Hw.
L'Ennomos du Frêne, l'Ennomos bicolore
Nourriture de la chenille : Frêne, troène
Références : Id TAXREF : n°248930 / Guide Robineau (2007) : n°588
Répartition française : Plus commune dans le sud de la France, a fortement régressé dans la moitié nord.